działka budowlana na sprzedaż łosicki, 2400 m2 Trapez
Oferta sprzedaży od Siedleckie Biuro Nieruchomości
łosicki
130 000 zł
54 zł/m2

Główne cechy działki
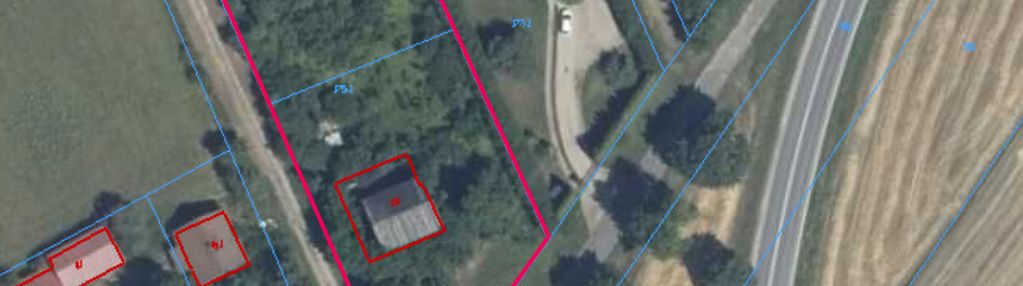
Opis nieruchomości o powierzchni 2 400 m2
Sprzedam działkę 2400m2 platerów
Na sprzedaż przestronna i atrakcyjnie zlokalizowana działka budowlana o powierzchni 2400 m², Platerów, ul. Wierzbowa.
Lokalizacja i otoczenie:
Działka położona jest w spokojnej, rozwijającej się okolicy, w sąsiedztwie zabudowy jednorodzinnej.
W bliskim otoczeniu znajdują się sklepy, szkoła, przedszkole oraz tereny zielone – idealne do wypoczynku i spacerów.
Lokalizacja łączy zalety życia w naturze z łatwym dostępem do miejskiej infrastruktury.
Parametry działki:
- Powierzchnia: 2400 m²
- Przeznaczenie: działka budowlana
- Kształt: trapez
- Dojazd: droga utwardzona
- Media: prąd, woda i kanalizacja w granicy działki
- Światłowód
Zalety oferty:
- Duża powierzchnia – możliwość podziału lub realizacji indywidualnego projektu domu z ogrodem
- Media dostępne na miejscu – niższe koszty przyłączeń
- Spokojna, bezpieczna okolica sprzyjająca życiu rodzinnemu
- Atrakcyjna cena: 130 000 zł
Zapraszamy do kontaktu
Weronika
NEŚCIOR Nieruchomości
Doradca ds. sprzedaży Nieruchomości Weronika Neścior
Adres: ul. Świrskiego 47, 08-110 Siedlce
E-mail:
Więcej ofert na stronie:
Oferta wysłana z programu dla biur nieruchomości ASARI CRM