działka rekreacyjna na sprzedaż suwalski, 1145 m2 Prostokąt
Oferta sprzedaży od Express House
suwalski
140 835 zł
123 zł/m2


Główne cechy działki
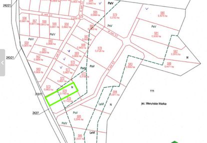
Opis nieruchomości o powierzchni 1 145 m2
Działka rekreacyjna nad jeziorem mieruniszki
Atrakcyjna, kameralna działka o pow. 1145 m2 pod zabudowę rekreacyjną indywidualną, w miejscowości Mieruniszki gm. Filipów suwalskie, nad jeziorem Mieruńskie Wielkie.
Opis nieruchomości:
- przeznaczenie: teren zabudowy rekreacyjnej indywidualnej,
- powierzchnia 1145 m2,
- kształt prostokątny,
- teren nieogrodzony,
- dostępne media: prąd w drodze,
- dojazd do działki drogą utwardzoną, żwirową,
- numer działki 574,
- wymiar działki: 20x60 m ,
Lokalizacja:
- atrakcyjna lokalizacja nad jeziorem- Mieruńskie Wielkie (objętym strefą ciszy),
- malownicza miejscowość Mieruniszki gm. Filipów, Suwałki,
- spokojna, cicha okolica,
Rekreacja:
- jezioro,
- tereny zielone ( lasy, łąki, pola),
Dodatkowe informacje:
- Cena 123 zł/m2,
- dostępne 24 działki o powierzchni od 800 m2 do 1145m2,
Zapraszam do kontaktu w celu uzyskania dodatkowych informacji oraz umówienia się na prezentację nieruchomości.
Numer oferty w biurze nieruchomości 1745/4158/OGS
- Zadzwoń już dziś i umów się na bezpłatną prezentację -
- Zapytaj nas o najlepsze rozwiązania kredytowe -
- Kupuj bezpiecznie z Express House -
Oferta wysłana z programu dla biur nieruchomości ASARI CRM