działka budowlana na sprzedaż wołomiński, 611 m2 Nieregularny
Oferta sprzedaży od RE/MAX Polska
wołomiński
183 300 zł
300 zł/m2

Główne cechy działki
Opis nieruchomości o powierzchni 611 m2
Działka 611 m², ruda k. radzymina, mpzp, media
Działka budowlana 611 m2/Ruda k. Radzymina/MPZP/Bez prowizji
Szukasz miejsca pod wymarzony dom w spokojnej, zielonej okolicy, a jednocześnie z dobrym dojazdem do Warszawy?
Na sprzedaż działka budowlana o powierzchni ok. 611 m² w miejscowości Ruda (gmina Radzymin). To idealne miejsce dla osób ceniących ciszę, przestrzeń i bliskość natury.
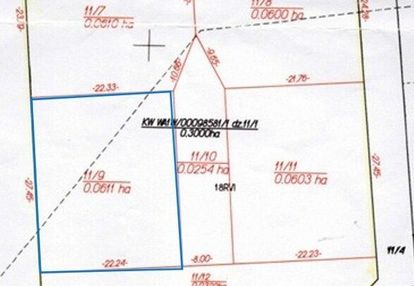
Działka 11/9 będzie wydzielona z większej nieruchomości 11/1, obecnie trwa proces podziału. Z podziału powstaną 4 działki o powierzchni ok. 600 m² każda (numery: 11/7, 11/8, 11/9, 11/11). Dla działek 11/7 i 11/8 powstanie droga dojazdowa 11/10 (współwłasność). Projekt podziału dostępny w zdjęciach.
Nieruchomość objęta jest miejscowym planem zagospodarowania przestrzennego (MPZP), co zapewnia jasne zasady zabudowy i bezpieczeństwo inwestycji. MPZP przewiduje zabudowę jednorodzinną wolnostojącą, która może być połączona z drobnymi usługami.
Idealna dla:
- rodzin z dziećmi (blisko szkoła i przedszkole),
- osób szukających spokoju i kontaktu z naturą,
- osób planujących komfortowe życie w przyszłości.
Lokalizacja:
- Ruda, gmina Radzymin ok. 8 km do centrum Radzymina,
- ok. 12 km do trasy S8,
- ok. 40 km do centrum Warszawy,
- Zalew Zegrzyński (plaża w Ryni) ok. 5 km,
- okolice Bugu i tereny rekreacyjne ok. 7 km,
- ok. 400 m do rzeki Rządzy.
Spokojna, zielona okolica z dominującą zabudową jednorodzinną.
Infrastruktura w pobliżu:
- szkoła i przedszkole ok. 800 m,
- przystanek autobusu gminnego ok. 50 m,
- autobus do metra Trocka ok. 800 m (dojazd ok. 55 min),
- sklepy (m.in. Dino) ok. 1 km.
Parametry działki:
- powierzchnia: ok. 611 m²,
- kształt przybliżony do prostokąta o wymiarze 27,45x22,24 m,
- dojazd: droga asfaltowa,
- media w drodze: prąd, gaz, wodociąg, światłowód..
Dlaczego warto?
- idealny metraż pod dom jednorodzinny,
- dostęp do wszystkich mediów,
- spokojna, zielona okolica blisko wody,
- szybki dojazd do Warszawy,
- jasne zasady zabudowy (MPZP),
- brak prowizji dla kupującego.
Zadzwoń i umów się na prezentację. To świetna działka pod komfortowy dom w doskonałej lokalizacji.
W przypadku tej oferty wynagrodzenie naszego biura pokrywa właściciel nieruchomości.
Opis oferty zawarty na stronie internetowej sporządzany jest na podstawie oględzin nieruchomości oraz informacji uzyskanych od właściciela, może podlegać aktualizacji i nie stanowi oferty określonej w art. 66 i następnych K.C.
Oferta wysłana z programu dla biur nieruchomości ASARI CRM