działka rolna na sprzedaż Warszawa Włochy, 28950 m2 Trapez
Oferta sprzedaży od 4 Ściany Sp. z o.o.
Warszawa, Włochy
23 449 500 zł
810 zł/m2

Główne cechy działki
Opis nieruchomości o powierzchni 28 950 m2
Wydana WZ-ka na budynki mieszkalne jednorodzinne w dniu 12.01.2021.
Przystanek autobusowy na początku i na końcu działki.
Teren inwestycyjny 3 ha , blisko Alei Krakowskiej i obwodnicy Warszawy.
Działki są w pełni uzbrojone.
Media w ulicy : prąd, woda, gaz, telefon, kanalizacja.
Plan zagospodarowania w trakcie uzgodnień M.p.z.p. obszaru Załuski - prognozowane uchwalenie:
2021 r.
Warunki zabudowy z dnia 12.01.2021 dla 39 budynków jednorodzinnych na 1 z 3 działek tj. 1ha.
Wydane warunki zostały do wniosku dotyczącego działki 1ha. Do sprzedaży jest teren składający się z 3 działek tj. 3ha.
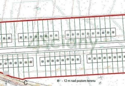
Wystąpiono o Warunki zabudowy dla inwestycji 116 budynków jednorodzinnych 3 kondygnacyjnych w zabudowie szeregowej.
Budynki usytuowane są w ciągach od 4 do 10 budynków obok siebie. Każdy z nich ma pow. zabudowy ok. 60 m2.
Powierzchnia działek dla każdego z budynków to od 120 m2 do 300 m2.
Orientacyjne wartości dla tej inwestycji:
PUM jednego domu ok. 150 m2
PUM 116 budynków ok. 17400 m2
Otrzymane zapewnienia od poniższych gestorów:
Prąd - dla powyższej inwestycji przewidziano na 2021 r.
Gaz - dla powyższej inwestycji przewidziano na koniec 2021 r.
Woda - dla powyższej inwestycji przewidziano na 2021 r.
Kanalizacja - dla powyższej inwestycji przewidziano na 2023 r.
Zamieszczona oferta nie stanowi oferty w rozumieniu Kodeksu Cywilnego. licencja 4355;
Zapytaj naszego Agenta o pomoc w otrzymaniu kredytu !!!
Oferta wysłana z programu dla biur nieruchomości ASARI CRM